
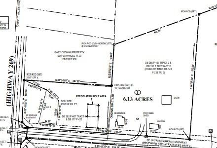
Prime 6.13-Acre Residential Tract in Charming Bell Buckle, TN! Discover the perfect blend of privacy and convenience with this stunning 6.13-acre residential tract located in the highly desirable Bell Buckle area. Nestled in a serene countryside setting, this property offers a 4-bedroom perk site, making it ideal for building your dream home. Situated on Lot 5 of Johnson Place, this expansive lot provides ample space for a custom home, outdoor living, and recreational activities. Enjoy the peaceful rural atmosphere while still being within easy reach of Murfreesboro, Shelbyville, and Nashville. With picturesque views, mature trees, and a gently rolling landscape, this property is perfect for those looking to escape the hustle and bustle while maintaining access to modern conveniences. Don't miss this rare opportunity to own a beautiful piece of land in one of Middle Tennessee’s most sought-after locations! Water-tap already in place. Existing home on property can be removed, or possibly rehabbed. Owner is unsure.
Status : Active
Address : 0 Johnson Place Bell Buckle TN 37020
County : Bedford County, TN
Property Type : Residential
Area : 1,292 sq. ft.
Yard : Partial
Year Built : 1910
Exterior Construction : Other
Floors : Other
Heat : None
HOA / Subdivision : Johnson Place Development
Listing Provided by : Onward Real Estate
MLS Status : Active
Listing # : RTC2990036
Schools near 0 Johnson Place, Bell Buckle, TN 37020 :
Cascade Elementary, Cascade Middle School, Cascade High School
Lot Size Area : 6.13 Sq. Ft.
Building Area Total : 1292 Sq. Ft.
Lot Size Acres : 6.13 Acres
Living Area : 1292 Sq. Ft.
Lot Features : Level
Office Phone : 6152345020
Possession : Negotiable
Levels : One
Basement : None,Crawl Space
Stories : 2
Utilities : Water Available
Sewer : Septic Tank
From downtown Bell Buckle head north on Liberty Pike (Hwy 269) .5 miles to property on the right. Will be across the road from 301 Liberty Pike
We're ready when you are.
© 2025 Listings courtesy of RealTracs, Inc. as distributed by MLS GRID. IDX information is provided exclusively for consumers' personal non-commercial use and may not be used for any purpose other than to identify prospective properties consumers may be interested in purchasing. The IDX data is deemed reliable but is not guaranteed by MLS GRID and may be subject to an end user license agreement prescribed by the Member Participant's applicable MLS. Based on information submitted to the MLS GRID as of October 14, 2025 10:00 AM CST. All data is obtained from various sources and may not have been verified by broker or MLS GRID. Supplied Open House Information is subject to change without notice. All information should be independently reviewed and verified for accuracy. Properties may or may not be listed by the office/agent presenting the information. Some IDX listings have been excluded from this website.