
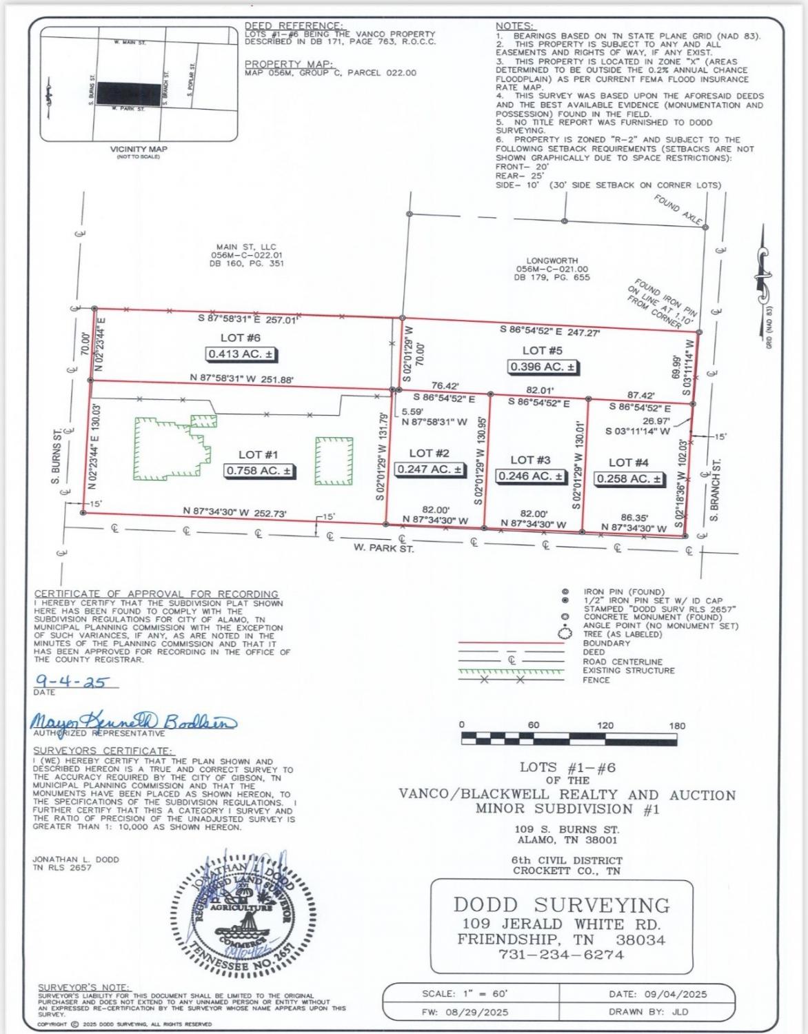
This exciting multi-parcel auction features six total lots located in the heart of Alamo, Tennessee. Bidders will have the opportunity to purchase individual tracts, combinations of tracts, or the property as a whole, ensuring maximum flexibility and market participation. Auction Format & Terms Virtual Online Auction – Bid from anywhere with internet access at www.bidalamo.com Closing: Wednesday, October 8 at 6:00 p.m. CST Lot 1 – Historic Home (Built 1899)Address: 109 South Burns Street , Alamo TN Size: 0.758± acres Frontage: Road frontage on both South Burns Street and West Park Street Improvements: Historic 1899 home with approximately 1,967± sq. ft., offering 3 bedrooms and 2 bathrooms. Highlights: Charming period architecture, central location, and proximity to schools and community amenities. This home offers historic charm paired with modern amenities. Lot 2 – Residential Building Tract Location: West Park Street Size: 0.247± acres Frontage: Approximately 82 ft. on West Park Street Highlights: Prime building site with strong frontage exposure.Lot 3 – Residential Building Tract Location: West Park StreetSize: 0.246± acres Frontage: Approximately 82 ft. on West Park Street Highlights: Another excellent building opportunity with solid street frontage.Lot 4 – Corner LotLocation: Corner of West Park Street and South Branch Street Size: 0.258± acres Frontage: Approximately 86 ft. on West Park Street and 102 ft. on South Branch StreetHighlights: Desirable corner lot, ideal for flexible use or development.Lot 5 – Residential Tract Location: South Branch Street Size: 0.396± acresFrontage: Approximately 70 ft. on South Branch Street Highlights: Spacious lot with generous depth, perfect for future construction.Lot 6 – Residential Tract Location: ]South Burns Street Size: 0.413± acres Frontage: Approximately 70 ft. on South Burns StreetHighlights: Large lot with ample road frontage, offering versatile possibilities.Multi-Parcel Bidding:
Status : Active
County : Crockett County, TN
Property Type : Residential
Area : 1,967 sq. ft.
Yard : Partial
Year Built : 1900
Exterior Construction : Vinyl Siding
Floors : Wood,Vinyl
Heat : Propane
HOA / Subdivision : None
Listing Provided by : Blackwell Realty
MLS Status : Active
Listing # : RTC2996727
Schools near 109 Burns St, S, Alamo, TN 38001 :
Alamo Elementary, Crockett County Middle School, Crockett County High School
Heating : Yes
Parking Features : Unpaved
Lot Size Area : 2.4 Sq. Ft.
Building Area Total : 1967 Sq. Ft.
Lot Size Acres : 2.4 Acres
Living Area : 1967 Sq. Ft.
Lot Features : Cleared,Level
Office Phone : 6152282044
Number of Bedrooms : 3
Number of Bathrooms : 2
Full Bathrooms : 2
Possession : Close Of Escrow
Architectural Style : Cottage
Patio and Porch Features : Porch,Covered
Levels : One
Basement : Crawl Space
Stories : 1
Utilities : Water Available
Parking Space : 2
Sewer : Public Sewer
From I 40 West, take exit 79 to US 412W, to HWY 88S / South Bell St. Turn Left on West Park Drive.
We're ready when you are.
© 2025 Listings courtesy of RealTracs, Inc. as distributed by MLS GRID. IDX information is provided exclusively for consumers' personal non-commercial use and may not be used for any purpose other than to identify prospective properties consumers may be interested in purchasing. The IDX data is deemed reliable but is not guaranteed by MLS GRID and may be subject to an end user license agreement prescribed by the Member Participant's applicable MLS. Based on information submitted to the MLS GRID as of October 19, 2025 10:00 AM CST. All data is obtained from various sources and may not have been verified by broker or MLS GRID. Supplied Open House Information is subject to change without notice. All information should be independently reviewed and verified for accuracy. Properties may or may not be listed by the office/agent presenting the information. Some IDX listings have been excluded from this website.