
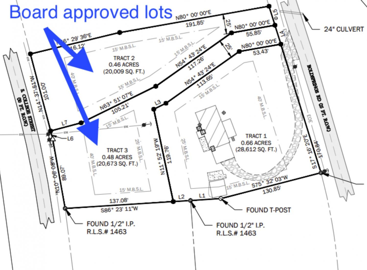
Welcome to 131 Bold Springs Road — now available at $275,000! Tucked away in the peaceful town of McEwen, this charming home offers a wonderful blend of comfort, character, and untapped potential. Step inside and discover a kitchen designed to bring people together. From casual family breakfasts at the island bar to lively holiday dinners, this space invites connection and conversation. The open-concept design flows effortlessly into the living room, where natural light pours through large windows, creating a bright and welcoming atmosphere. Downstairs, you’ll find 1,000 square feet of unfinished basement space—a blank canvas just waiting for your ideas. Whether you envision a cozy family den, a home gym, or the ultimate hobby space, the possibilities are endless. Recent updates, including a waterproofed basement with transferable warranty, a newer roof, and energy-efficient windows, give peace of mind as you bring your vision to life. Outdoors, the .66-acre lot provides plenty of room for play, gardening, or simply relaxing on the back patio, all without the upkeep of a larger tract. Better yet, this property stands out as one of the largest single-family parcels in McEwen, TN—a rare find in such a peaceful small-town setting. Imagine evenings spent watching the sun dip below the trees while kids and pets play freely in the yard. For those dreaming even bigger, two adjoining lots are also available—.48 and .46 acres each, priced at $45,000 apiece. With subdivision plans already approved, these parcels offer exciting options for expansion, additional homes, or investment opportunities. If you’re seeking a home filled with warmth, potential, and room to grow, 131 Bold Springs Road is ready to welcome you home.
Status : Active
County : Humphreys County, TN
Property Type : Residential
Area : 2,350 sq. ft.
Year Built : 1971
Exterior Construction : Brick,Vinyl Siding
Floors : Carpet,Concrete,Vinyl
Heat : Central
HOA / Subdivision : None
Listing Provided by : Epique Realty
MLS Status : Active
Listing # : RTC3009033
Schools near 131 Bold Springs Rd, Mc Ewen, TN 37101 :
Mc Ewen Elementary, Mc Ewen Jr. High School, Mc Ewen High School
Heating : Yes
Parking Features : Basement,Attached
Lot Size Area : 0.66 Sq. Ft.
Building Area Total : 2350 Sq. Ft.
Lot Size Acres : 0.66 Acres
Lot Size Dimensions : 0.66
Living Area : 2350 Sq. Ft.
Lot Features : Level,Rolling Slope
Office Phone : 8888933537
Number of Bedrooms : 3
Number of Bathrooms : 3
Full Bathrooms : 1
Half Bathrooms : 2
Possession : Negotiable
Cooling : 1
Garage Spaces : 1
Levels : Two
Basement : Full
Stories : 1
Utilities : Water Available
Parking Space : 3
Carport : 1
Sewer : Public Sewer
From Dairy Queen Grill & Chill 9460 US-70, McEwen, TN 37101 Head south on College St toward Hwy 70 E 138 ft Turn left onto Hwy 70 E 0.1 mi Turn right onto Bold Springs Rd Destination will be on the right
We're ready when you are.
© 2025 Listings courtesy of RealTracs, Inc. as distributed by MLS GRID. IDX information is provided exclusively for consumers' personal non-commercial use and may not be used for any purpose other than to identify prospective properties consumers may be interested in purchasing. The IDX data is deemed reliable but is not guaranteed by MLS GRID and may be subject to an end user license agreement prescribed by the Member Participant's applicable MLS. Based on information submitted to the MLS GRID as of October 22, 2025 10:00 AM CST. All data is obtained from various sources and may not have been verified by broker or MLS GRID. Supplied Open House Information is subject to change without notice. All information should be independently reviewed and verified for accuracy. Properties may or may not be listed by the office/agent presenting the information. Some IDX listings have been excluded from this website.